image description
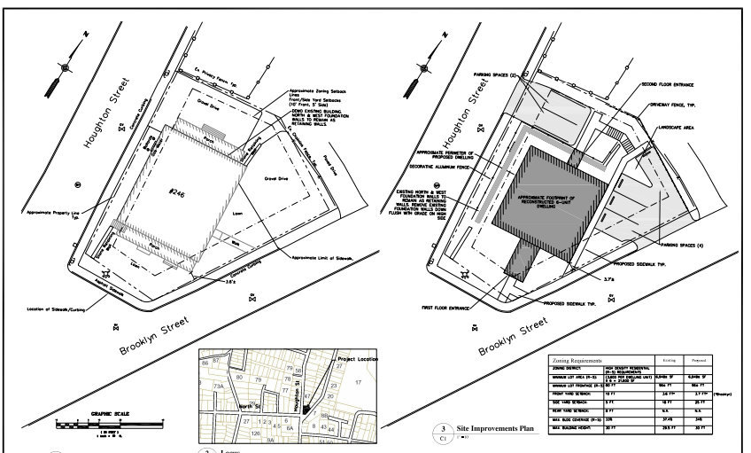
The apartment building at 246 Houghton Street was severely damaged by fire in 2019. Its new owner is planning to tear it down and build a new six-unit building.
image description

Fire-Damaged North Adams Apartment Building Being Replaced

By Tammy DanielsiBerkshires Staff
Print Story | Email Story

The 1870 structure will be replaced by contemporary units.
NORTH ADAMS, Mass. — The burned-out hulk of a Houghton Street apartment building is coming down two years after it was severely damaged by fire.
 
The Zoning Board of Appeals on Monday approved plans to replace the structure with a new six-unit apartment building at the request of owner Garabed Setrakian of Cambridge.
 
Setrakian purchased the property last April in hopes of restoring the 1870 building but found it too far gone. 
 
"I definitely will make a gigantic improvement to this corner, which used to be a very valuable part of North Adams," he said, referring to its past hosting a branch of the library. "My initial intentions were definitely to revive this building and bring it to its former glory. Unfortunately I missed my chance. I may have been too late because it had already been abandoned from the fire and unfortunately no action was taken by the previous owner. 
 
"I'm vigilant for change, I'm vigilant for doing whatever it takes to make the city a more active ... I think that this is going to be a dramatic improvement."
 
Setrakian said he had spoken to many of the neighbors about his plans and that the response has been positive. The building is not only a massive eyesore, it's also a health hazard, he said. 
 
The developer, who came from Canada about 25 years ago, said he felt a connection to North Adams because it reminds him of a valley in Jasper, Alberta. A friend had also invested in the area and had recommended he do as well. 
 
The plans presented by Bill Bonnett of Guntlow & Associates presented initial plans for a more contemporary building built within the same footprint but slightly smaller in size. The building is in a nonconforming lot and so required 
the variance because the two-year limit since the fire had elapsed; if renovation work had commenced within 12 months of a fire, no variance would be needed. 
 
"The existing nonconformities are also to be sustained although they will be made more in conformance where possible," according to the application.
 
But the nonconformity that took up much of the discussion at Monday's meeting the was the lack of parking spaces. By code, each unit is required to have two parking spaces but 246 Houghton had long been grandfathered. 
 
Chairman Ross Jacobs said the ZBA has been fairly lenient in the past in regard to changes in use, setback and lot size for nonconforming properties that generally stay within the existing boundaries. 
 
"I'm just curious as to your plans for what happens when you have six tenants with 10 cars, and there's already enough jockeying for spaces in that neighborhood, and how you think that's not going to be detrimental to quality of life," he said. "I am just trying to make sure that if the unit is full, that the extra cars on the street in the neighborhood, aren't going to pose a problem."
 
Bonnett's presentation showed spaces for six vehicles but said it was possible one or more could fit into the gravel space on the Brooklyn Street side. Two spaces are planned for the Houghton side. 
 
Setrakian said the units were being catered more to professional singles or couples looking for short-term rentals as Airbnbs, although some could be set aside for longer-term rental. Bonnett said tenants would likely be the generation more interested in being in the city and of a "green" consciousness when it comes to travel. 
 
Jacob said that was all well and good but Setrakian couldn't depend on renters' transport habits to keep the number of vehicles to six. 
 
Vince Guntlow said Setrakian could put that in his lease and member Paul Dilego Jr. asked if they could put conditions of one vehicle to each apartment but Jacob said that wasn't in the board's jurisdiction.
 
"I wouldn't mind seeing that but this board has no enforcement over that particular allocation," he said. "What we are here for is to allow this plan and determine the issue, knowing full well there's only two parking spaces required by ordinance."
 
Michael Goodson of Liberty Street said the plans "looks like it'd be a nice improvement" but he was also was concerned about parking. He suggested talking to a neighbor with more property for extra parking.
 
Jason Moran of Houghton Street fully supported "this type of project in this location given the current condition of the existing property."
 
He acknowledged that off-street parking is limited during the winter but "we have found that, good or bad, sometimes parking on the street, when it is allowed, actually slows traffic down on Houghton."
 
As chairman of the Conservation Commission, he also reminded the applicant that he would need to come before that board as well. 
 
Building Inspector William Meranti said he was "enthused and happy" to see something being done with the property and noted "although it is a concern, six spaces would be more now than historically it's ever had before."
 
On the other hand, he had concerns about the Airbnb since the city still doesn't have any ordinances regulating short-term rentals. If the building is constructed for rentals of less than 30 days, it would have to be built as a motel or hotel in that residential zone, Meranti said.
 
"That's a construction concern, and it's a zoning concern because it would not be allowed in that zone," he said. It could only be built as a single or multifamily long-term residential building. 
 
Jacobs cautioned Setrakian that "if we proceed, and you continue this path with planning these Airbnb units, you may run afoul of some code issues." He recommended following up with Meranti since this was outside the ZBA's scope.
 
The board voted unanimously to approve the special permit, to be reviewed in six months. 

Tags: ZBA,   

If you would like to contribute information on this article, contact us at info@iberkshires.com.

Weekend Outlook: Mount Greylock, Shakespeare Day

By Breanna SteeleiBerkshires Staff

Check out the events happening this weekend including birding, theater, and more to welcome the warmer weather.

Here is a list of Memorial Day events happening around the county.

Editor's Picks

Mount Greylock Summit Opening Day
Mount Greylock, Adams

Welcome the warm weather on the state's highest peak. Bascom Lodge opens Saturday at 10 a.m. A live raptor demonstration is at noon on Saturday; beekeeping presentation from 11 to 2 and presentation on the Greylock Glen at 5:30 on Sunday.

The War Memorial will also be open. Tours and a presentation on the "Tower of Remembrance" will be held on Sunday and Monday at 1 and 2 p.m. Meet at the bronze map. 

More information here.

Shakespeare & Company Community Day 
70 Kemble St., Lenox
Time: Saturday, 11 a.m. to 4 p.m.

The event features live demonstrations and performances, scavenger hunts, film screenings, food trucks, and dozens of other local nonprofits sharing the ways they serve the Berkshires — and beyond. 

More information here

Friday 

Wine and Warblers
Pleasant Valley Wildlife Sanctuary, Lenox
Time: 5 to 7 p.m.

Enjoy a glass of wine and look for migratory birds like warblers, orioles, and other spring arrivals.

Tickets: $35 for members, $42 for nonmembers.

More information here.

Ronnie's Harley-Davidson Bike Night
Ronnie's Cycles, Pittsfield
Time: 5 to 8 p.m.

Ronnie's Cycles celebrates its 70th year with vendors, drinks, food, music, and more. Bring your bike to show off against others.

More information here.

Friday Karaoke
Dalton American Legion
Time: 6 p.m.

More information here.

Common Craft Night
165 East Main St., North Adams
Time: 6 to 8 p.m.

Bring a craft you have been working on and join others to socialize.

More information here.

Saturday

Community Bike Ride
886 Crane Ave., Pittsfield
Time: 10  to noon

Take a bike ride with others in your community. Come earlier and decorate your bike and complete a bike safety check. This is open to ages 5 and up.

More information here.

Radical Reptile Series
Berkshire Athenaeum, Pittsfield
Time: 10:30 to 11:45 a.m.

Second of a three-part series on reptiles and amphibians introduced by The Reptile Nook. This Saturday will focus on the world of lizards, and next Saturday on snakes.

More information here.

Pine Cobble Annual Plant Sale
Pine Copple School, Williamstown
Time: 8 a.m. to 1 p.m.

The school's annual fundraiser features perennials, annuals and houseplants. Donations accepted.

More information here.

Mayfest
Downtown Bennington, Vt.
Time: 10 to 5
 
The 39th annual arts and crafts festival with more than 100 vendors. Free and family friendly with live performances, food trucks and local restaurant and downtown business specials. Held on Main and School streets. 
 
More information here

Sunday

Introduction to Bird Watching
Pleasant Valley Wildlife Sanctuary, Lenox
Time: 9 to 11 a.m.

Interested in learning about the birds and trying to catch a glimpse of all the different types? Join Mass Audubon and practice birding. Bring your own binoculars, some loaners available. 

More information and register here.

Farmer's Markets 

Great Barrington Farmers Market
18 Church St.
Saturday: 9 a.m. to 1 p.m.
 
The market is open every Saturday. Every week, locally grown food, flowers, and plants will be available, along with other local vendors. The market accepts and offers doubling SNAP, HIP, WIC, and Senior market coupons. More information is here

Lee Farmers Market
The Town Park
Saturday: 10 a.m. to 2 p.m.  

The market offers locally grown produce, prepared foods, locally created arts and crafts, and herbal products. YogaLee offers free community yoga from 9:30 to 10:30 on the first Saturday of each month.

The market accepts SNAP, HIP, Senior Coupons, and WIC Coupons and also offers Market Match. More information here

Lenox Farmers Market
St. Ann's Church
Fridays: 11 to 3. 

This market is open every Friday through Sept. 12 and features fresh produce, pastries, cheeses, and more.

More information here

View Full Story

More North Adams Stories