Williamstown's Debate Over Housing and Land

Print Story | Email Story

New documents on the
FEMA grant.


Packed Mount Greylock High gym votes decisively
Wednesday night to table
all articles on the special town meeting warrants.

Democracy Inaction: Williamstown Tables Land Articles

Wednesday, April 24
Special town meetings

Warrant for meeting
at 7:25 p.m.

Warrant for meeting
at 7:30 p.m.

Williamstown's debate over affordable housing, conserved land and farming

In the

beginning

On Aug. 28, 2011, Tropical Storm Irene caused the Hoosic River to overflow its banks and flood the Spruces Mobile Home Park, causing the loss of more than 150 homes, or two-thirds of the park.
Williamstown in 2002 agreed on a master plan that spoke to the need for more affordable housing. It identified a deficit of 164; the town has added 8 units since then but lost 150. Williamstown Rules Spruces 'Uninhabitable'

Disaster Center Set Up; Spruces Park Being Assessed

Patrick Calls for 'Swift' Response for Spruces...

Spruces Occupancy Projections Continue to Dwindle

Williamstown Expects Third of Spruces Homes Restored

Spruces founder Al Bachand saw the park as a community, or little village, for retirees. Over the years, the park became an attractive option for those over age 55 on fixed incomes as housing prices and rents in Williamstown rose around them.

Housing advocates and local church groups sought to help the residents and seek new opportunities for affordable housing.

Donations For Spruces Eyed For Long-Term Needs

Higher Ground Seeks Volunteers To Help Spruces

Williamstown Housing Panel Seeks New 'Spruces'

Williamstown Voters OK Affordable Housing Trust

Willliamstown Sets Housing Board, Fills Empty Seats

The town and Spruces residents have had issues with park owner Morgan Management. It began with debates over rents and, after Irene, lawsuits against the town and attorney general.

Morgan agreed to sell the property for $600,000, at a loss, to the town and drop the lawsuit.

Spruces Owners Sue Williamstown, State

Spruces Owners Lay Out Demands

Spruces Owners Drop Case Against Williamstown, State

A plan comes
together

The town applied for a grant from FEMA
to buy the Spruces, close the park
and build housing elsewhere.


Not everyone is onboard.

Hazard Mitigation Grant Program

Not yet approved by FEMA

The $6,248,475 grant includes:

* $600,000 to buy the park

* Up to $1.485 million for relocation

* $3 million for affordable housing.

* $1.2 million for demolition and cleanup

It identifies flooding at the Spruces as the town's No. 1 hazard.

It does not indicate where the residents would be moved other than "All residents will be relocated to decent, safe and sanitary dwellings."

Two options are provided:

• Completely redoing all infrastructure and jacking up or rebuilding all units above the floodline at a cost of $10.9 million.

• Construct a levee and a pumping system at a cost of $15.5 million.

Land Options
for Housing

There are four prime spots under consideration. Two are brownfields, two are farmland.

Lowry land,
Stratton Road

Town garage,
Water Street

The Affordable Housing Committee has been seeking appropriate locations for housing. While the Lowry land, originally purchased as a potential site for Mount Greylock Regional High School, is considered ideal, other locations under the town's control have not been ruled out. Higher Ground is also seeking ways to expand housing for seniors.

Lowry was purchased in 1956 for $29,000; Burbank was deeded to the town; Photech was taken for back taxes.

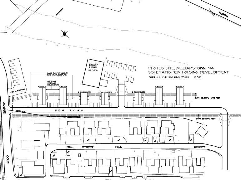
Photech Mill,
Cole Avenue

Burbank Farm,
Luce Road

The Planning Board suggested in 2010 plans for developing the town garage site, but geared toward a more affluent clientele.

Possible development of the Photech site. Assessment of Photech site.

'Irene' Cottages

 Williams College study of Lowry & Burbank

 The proposal for 41 "Irene" units at Lowry (click to open larger.) The original 2002 plan can be seen here.

The town is in a debate between not only residents but government committees that may or may not endorse plans if the FEMA grant is approved.

Williamstown Affordable Housing Groups Inquire About Conserved Lands

Williamstown Housing Panel Seeks New 'Spruces'

Williamstown Planners See Options for Affordable Housing

Williamstown Housing Trust Supports Spruces Plan

Williamstown Ag Panel: Housing Talk Premature

Williamstown Ag Commission Questions Housing Proposal

Williamstown Housing Committee Meets With Consultant

Williamstown Finance Panel Gets Details on Housing Needs

 The Reaction

Two groups - Save the Spruces and Friends of Williamstown Conserved Lands - are formed. While their focus differs, their goal is the same.

Williamstown Land Group Sets Meeting on Housing Proposal

'Save the Spruces' Group Dominates Conservation Meeting

Spruces Residents Worried About Their Unknown Future

Williamstown Board Hears Emotional Pleas For Spruces

Spruces Residents Ask for Army Corps of Engineers Review

The Debate From Different Perspectives

Williamstown Faces Question of Priorities Land Debate Looms Over Williamstown Farmer's Future Harvest Residents Divided Over Future of Spruces Mobile Home Park

  Decision Time

Voters will be faced with articles dealing with land & housing on April 24 and May 21.

Updates on other debate details:

The Army Corps of Engineers has rejected a request to study or involve itself in a project to alleviate flooding at the Spruces in part because the land is privately owned.

A number of residents have argued that since the Lowry land was voted by two-thirds vote to the Conservation Commission's purview in 1987, a similar vote is required to take it out. Town counsel's opinion is that the land was originally purchased for a high school, therefore it does not fall under the relevant state conservation law (Article 97) and does not require a two-thirds vote to be taken out of conservation.

Stratton Hills Condominium Association has provided a competing legal opinion that Lowry does fall under Article 97.

The Conservation Commission's not picking sides; it wants the state to weigh in.


WilliNet hosted a sometimes emotional community conversation on land versus housing. Read our story here and/or watch the two-hour event.

Putting it to a Vote

A group of citizens succeed in garnering 312 signatures to call for a special town meeting on April 24 to vote on whether to keep the 30-acre Lowry property undeveloped. The Selectmen offer a competing article directing 10.5 acres be used for affordable housing, with the balance conserved.

The special town meeting warrant is here.

Citizens Petition Calls for Vote on Williamstown Land

Williamstown Will Vote Land Issues at Special Town Meeting

Another petition that asks for taxpayer money toward helping Spruces residents buy the park has been submitted for the annual town meeting on May 21.

Swiatek, Spruces Group Seek Town Funds to Help Buy Park

Williamstown Sets Special Town Meeting on Land Vote

Williamstown Voters Face Questions on Land

Williamstown Special Town Meeting Rules Clarified

Wednesday, April 24
Special town meetings

Warrant for meeting at 7:25 p.m.

Warrant for meeting at 7:30 p.m.

Community Speaks Out:

Letters: Why Not a New Spruces?

Letters: HooRWA Supports Spruces Purchase

Letters: Spruces Residents Given 'Hobson's Choice'

Letters: Consider Other Options to Protect Spruces

Letters: Conserved Lands Needs Advocates

Letters: Housing Committee Working to Expand Opportunities

Letters: Things for Lowry Opponents to Think About

Letters: Using Lowry Property Strains Trust

Letters: Vote No on Article II to Use Lowry Land

Letters: Reuse Other Sites for Affordable Housing

Letters: Williamstown Selectmen Playing Games

Letters: Just Do the Math

Letters: Reconsider Trading Farmland for Housing

Letters: Give Housing Committee Chance to Study Lowry

Letters: Vote on April 24 & Make Your Voice Heard

 

 

 


Tags: affordable housing,   conserved land,   farmland,   

If you would like to contribute information on this article, contact us at info@iberkshires.com.

Stockbridge Grange Community Dinner

STOCKBRIDGE, Mass. — The Stockbridge Grange is holding a community dinner on Sunday, Feb. 8, 2026, featuring spaghetti and meatballs, salad, and bread with dessert choices of chocolate cream or lemon meringue pie.
 
Dinner is $17.00 per person, take out only with 12-1:30 pm pick up at the Stockbridge Grange Hall at 51 Church Street, Stockbridge.  Orders may be made by calling 413-243-1298 or 413-443-4352. 
 
Inclement weather postpones the meal for a week.
View Full Story

More Stories